Construction has just started on a new Tesla Supercharger station in Port Severn, Ontario.
The 12 stall V3 Supercharger station is being built at the G&G Travel Plaza, located at 35 Lone Pine Rd, as we reported last year.
A photo from the site taken this morning and shared with us by Drive Tesla reader Terry Cole shows construction fencing has been put up and the existing paving has been cleared away in preparation for the Superchargers and related equipment to be installed.
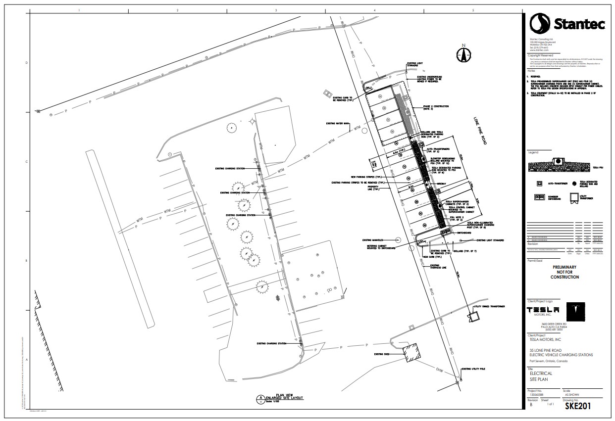
The Port Severn Supercharger could be up and running in less than one month. According to site plans uncovered by Drive Tesla contributor Marco, Tesla will be installing their prefabricated Superchargers at this location.
However, the opening date will be dependent on how quickly the Superchargers can be hooked up to the local utilities. A perfect example of this is the New Minas Supercharger in Nova Scotia.
Construction of that site using prefabricated Superchargers was completed in less than one month back in November 2021. As of today, the site is still not open as it waits to be connected to the local grid.
There a number of amenities at the site, including a Tim Hortons, Pita Pit and Hero Certified Burgers. There are also six Level 2 and one DC fast charger, although based on reports by users on Plugshare they are very unreliable.
Editor’s note: This article was updated to change the number of stalls from 8 to 12. The original plans from last year showed 8 stalls, but the new plans above show it will be 12.

