Tesla is preparing to build the largest Supercharger station in the world, with plans calling for an astonishing 400 charging stalls at a new site in Yermo, California. The station would dwarf Tesla’s currently largest station, the 164-stall “Oasis” Supercharger.
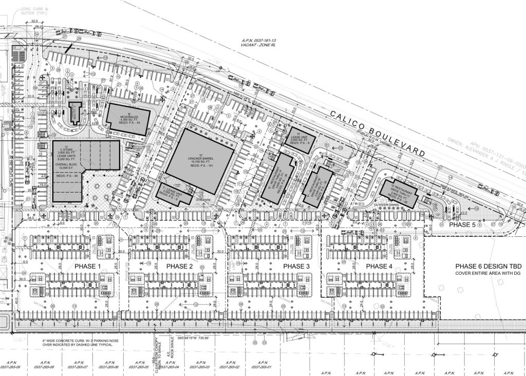
According to site plans uncovered by Marco on X, the massive charging hub will be built in phases as part of a new commercial development known as Eddie World 2, located along the heavily traveled Interstate 15 corridor between Los Angeles and Las Vegas.
The project will be completed in six phases, ultimately creating a charging complex unlike anything currently in Tesla’s global network.
Construction on Phase 1 is expected to begin in 2026, with the first stage delivering 72 V4 Supercharger stalls.

The new charging site is located along Calico Boulevard in Yermo, a small community in California’s Mojave Desert. The location sits directly off Interstate 15, the primary route used by millions of drivers traveling between Southern California and Las Vegas each year.
Tesla owners are already familiar with the region, as the nearby town of Barstow has long served as a critical charging stop along the corridor. However, increasing EV adoption has placed significant pressure on existing charging infrastructure, particularly during peak travel periods like holidays and major Las Vegas events.
A 400-stall Supercharger hub would dramatically increase charging capacity along the route and help reduce congestion that can occur during busy travel weekends.
V4 Superchargers and Future-Proof Charging
The entire site will use Tesla’s latest V4 Supercharger technology, which is designed to support higher charging power, improved cable reach, and compatibility with a wider range of electric vehicles.
V4 chargers also play an important role in Tesla’s broader charging strategy, as the company continues opening its network to non-Tesla EVs through the North American Charging Standard (NACS). With longer cables and updated hardware, the V4 design can accommodate vehicles with different charging port locations.
Given the scale of the project, the Yermo Supercharger could effectively operate as a major EV charging hub, similar to a traditional highway service plaza but built specifically for electric vehicles.
The Supercharger installation will be integrated into a broader retail complex that includes restaurants, convenience services, and parking areas designed to accommodate the large volume of travelers expected to use the site.

